今天是:2025年11月11日 星期二
公告公示
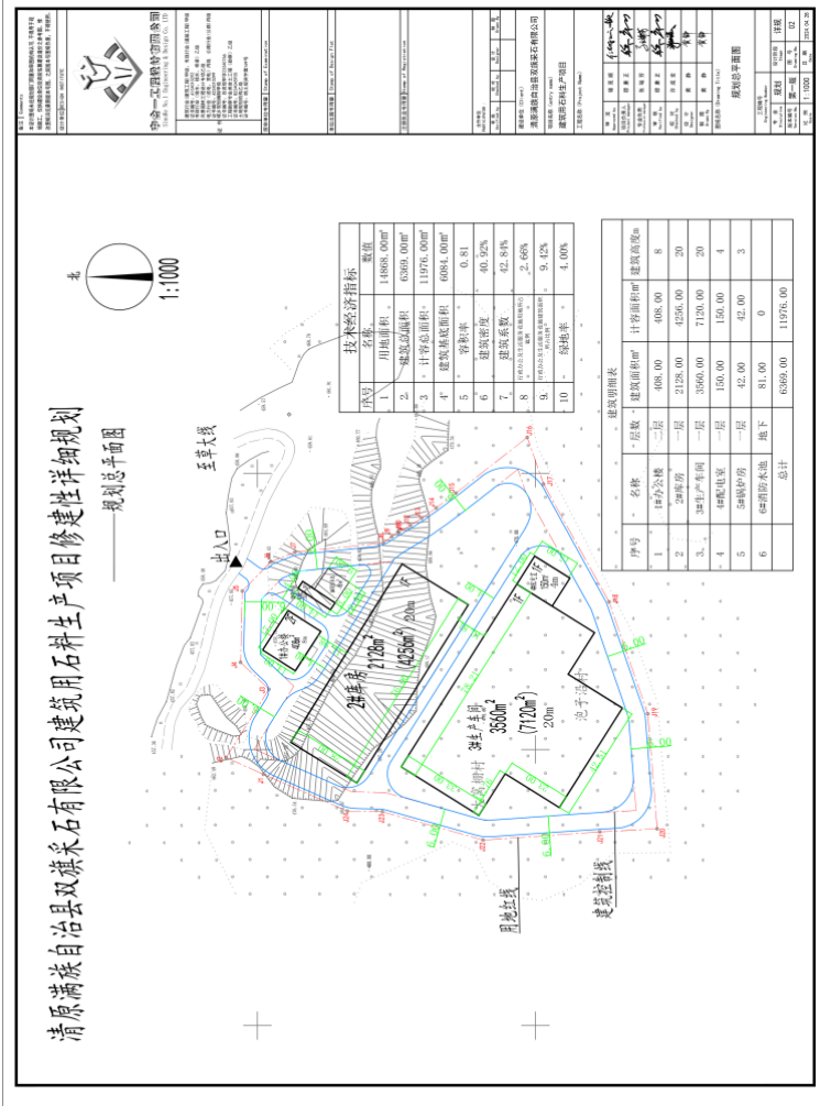
清原满族自治县双旗采石有限公司 建筑用石料生产项目批前公示
浏览:2745次'时间:2024年6月25日

根据清原满族自治县发展和改革局项目备案证明(清发改备字[2021]24号)文件和清原满族自治县双旗采石有限公司的申请,聘请中合一工程设计有限公司完成了清原满族自治县双旗采石有限公司建筑用石料生产项目修建性详细规划,经审核,拟同意批复。现对该项目进行批前公示。

一.公示时间

2024625-202472

二.公示形式

(一)公示位置:县政府信息网站进行公示。

(二)反馈途径:请将意见和建议以书面形式邮寄至清原满族自治县清河路13号,自然资源局规划股收;也可发送至网络信箱qyxzrzyjghg@163.com.

(三)联系电话:15842364443

附件:项目规划总平面图

 

清原满族自治县自然资源局

2024625

 

 


Copyright © 2020 www.qingyuan.gov.cn All Rights Reserved. 清原满族自治县政府版权所有 网站地图
主办单位:清原满族自治县人民政府办公室
联系电话:024-53078999 E-mail:qyxzwgk2016@163.com 
政府网站标识码:2104230005 ICP备案号: